Topple a Statue of King George at MCNY's New Revolutionary Exhibit
Explore the seven years of NYC history when the city was occupied, brutalized, and eventually, liberated.

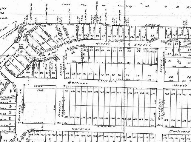
From the German Gardens street plan in Yaphank, Long Island, approved by the Town of Brookhaven in 1936
The United States of the 1930s, as World War II loomed ahead, was a prolific era for radical movements. The third Madison Square Garden was packed to the gills for an anti-Nazi rally in 1937 and a pro-Nazi rally in 1939. But the latter was really the pinnacle of a more entrenched pro-Hitler community in the United States. One planned community in Yaphank, Long Island replete with an indoctrination camp amidst streets named after Hitler, Goering, and Goebbels, serves as a prime example of how the German-American Bund and German Settlement League managed to put forth a message in which American democracy and fascism could co-exist, something that Ryan Schaffer of the Department of History at Stony Brook University explores in an article for the Long Island History Journal. A special Long Island Railroad train, the “Camp Siegfried Special” even ran at 8am from Penn Station to Yaphank to bring guests to the site.

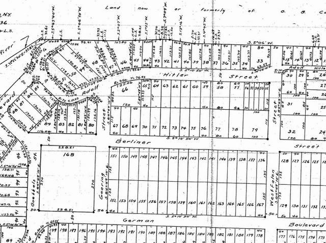
Close up of German Gardens Street Plan with Adolf Hitler Street, Goebbels Street and Goering Street
As Shaffer writes, “support for Nazi Germany in the United States was a unique blend of German and American ideology rather than just a foreign import.” That being said, American patriotism was limited. To be a member of the German-American Bund, one had to be “Aryan,” with a mission of uniting “similar” people. Indeed, brochures for Camp Seigfried promised: “You will meet people who think like you.”
There was a special focus on local development of the German-American Bund, seen as a key strategy in not only the evolution of the German community in the United States, but also of the country as a whole. According to Shaffer, the 1937 issue of the Bund’s Fighting Germanness opened with an excerpt from Colin Ross’ Our America “which claims that those with German blood will lead the United States into a new era.”
In 1995, the Suffolk County legislators attempted to pass a resolution to erase such pro-Nazi history, specifically “for the removal of pro-Nazi references on subdivision records.” The state declined to pass the resolution, which is why today we have access to the original, signed and approved street plans for the community of “German Gardens” in Yaphank. We recently took a trip out to the community, part of which became incorporated into the town of Yaphank after the war, and a part that remains part of the German American Settlement League.

Zoomed details of the 1936 German Gardens community street map
Many of the most offensive street names (Hitler, Goering and Goebbels) were renamed to innocuous ones. Adolf Hitler Street became Park Street, Goering became Oak Street and Goebbels turned into Northside Avenue. But many other things have stayed the same. The neighborhood is still called German Gardens, even though it is no longer a private community. One of the main thoroughfares is still called German Boulevard. Many German street names were not changed, like Bohle Road (in a neighboring community) which is the last name of a convicted Nazi leader. Whether it was originally named after that particular Bohle or not, we have not been able to confirm yet.


Former intersection of Goebbels Street and German Boulevard

At the same time, Berliner, Hindenburg, Hamberger and Westfalen Streets have also been replaced. Berliner is now Center Garden, Westfalen became Martin Street, and Hindenburg became Broad Street. And while Lindemann was the captain of the Nazi battleship Bismarck, it appears that Lindeman Court (incorrect as Linderman Court on Google Maps) is actually named after Mary Lindeman who owned land there. All in all, today there’s just something bizarre about describing to someone, “So here we are at what would have been the intersection of Hitler and Goebbels.”

A current resident who rents a home there tells Untapped Cities, “Years ago, these houses were not offered for sale to anyone who wasn’t German. I happened to play volleyball for a German sports club, and so, a door opened for me. German Gardens houses have individual deeds, and are a simple subdivision. The German American Settlement League is…a co-op– it simply means that there is only one deed for all of the houses…I am told that at one time, both Camp Siegfried and German Gardens were commercial flower plantations.”

Next door Camp Siegfried borders a lake and access to the great outdoors was a key part of the activities, including rifle training as an affiliate of the National Rifle Association (NRA). Shaffer writes, “the camp was used for Bundist youth to learn about camping, hunting, shooting, and even eugenics. For the adults and locals, it was a place where politics and local events were discussed at the camp’s bar. Perhaps, most importantly the camp served for the celebration and dissemination of ideology.” The youth were even taken on trips to Germany, including a visit to the 1936 Olympics where German-American Bund leader Fritz Kuhn met Hitler.
The social aspect, compounded by the Bund selling alcohol in its camps, were observed by locals in Yaphank, where observed that the members of the community “appear[ed] to consume great quantities of beer and do a lot of marching in uniforms.” There were also comments about the propriety, noting that the men and women were wearing shorts (which seems funny today) and “abbreviated bathing suits on highways, trespassing on private property, stealing flowers and growing produce.” As war neared in Europe, the FBI started taking notice of the organization, noting in a letter that the camp in Yaphank contained 150 to 300 children who “used to wear a uniform like that of the Hitler Youth in Germany.” It should be noted that the German-American Bund also had numerous previous names, including “Friends of the Hitler Movement” and “Friends of the New Germany.”
The German-American Bund lost control of the Camp Siegfried property to the German-American Settlement league, which still runs it today. Though the parade ground is now a park, it remains devoid of any landscaping or typical park furniture. It’s easy to imagine that military demonstrations once took place there.

A clubhouse still exists but it looks architecturally different from the historic images. An American flag and a German flag hang from a flagpole, in contrast to the Swastika flag that used to adorn the front façade of the former clubhouse. A small bus stop sits curiously at the one end of the park. The street names in Camp Siegfried are Schiller Court, probably for the German philosopher, and Bach Court after the composer.



Today, Camp Seigfried remains a private community with a sign reading “German American Settlement League” clearly denoting the entrance. Most of the homes in both the current settlement and the area incorporated into the town of Yaphank have a 1930s and 1940s beach bungalow feel. The race restriction at the German American Settlement League remained in place until January 2016, when Federal Judge Joan Azrack, settling a lawsuit, approved an agreement that included the reformation of the German American Settlement League’s bylaws to make the residential community open to the public in compliance with federal, state and local fair housing laws.

Camp Seigfried has recently returned back to the spotlight with the release of period photographs recently digitized and released by the New York City Department of Records. The town plans, though written about briefly by Ryan Schaffer in 2010, have not been corroborated with the present-street layout, which we attempted to do here.
The historical town center of Yaphank also has an amazing mid-century Shell gas station, kept as a relic of a former era.
Next, read about the film locations in Man in the High Castle, an Amazon show that reimagines the Untied States under Nazi and Japanese rule, as well as the real life Long Island locations featured in the AMC show Turn about the first spy ring in America. Get in touch with the author @untappedmich.
Subscribe to our free newsletter